Property Detail

Cedar

Ventura CA 93001

$699,000

Status: Active

Property Details

Description

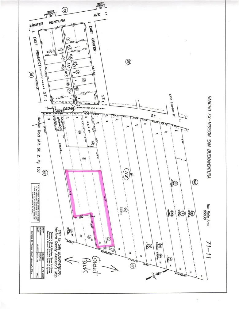
Location, location, location! Over an acre Lot with an extraordinary ocean View!!!! With electricity, sewer and water resources available close by. One of the best features of this lot is its prime location and you'll be just a stone's throw away from schools, shopping centers, restaurants, and Convenience is at your fingertips. Don't miss the opportunity to build your dream HOME here!!! With its impressive and unbeatable location, it's more than just a lot it's a lifestyle you have been waiting for" Above Downtown Ventura! 1.7 acres / 74,487 sq. ft. of breathtaking panoramic ocean, city, island and mountain views. Zoned R-1-7 (1 SFR/dwelling). Very Easy access to 101, 126 Freeways & Hwy. 33 and all area amenities. Lot can be viewed from Serra Cross monument area or from Cedar Street below. Located next to Grant Park and other publicly and privately held parcels. Sellers encourage all offers! Parcel: 0710112100

Map Location

Listing provided courtesy of Claudio Rangel of Camino Real Realtors. Last updated . Listing information © 2026 PACIFICSOTHEBYSFULLSANDICORCOMBINED.

john Doe

Pacific Rim Property Management & Maintenance Solutions

CA DRE# 01426440
CSLB# 958218
Inquire Now
admin Real estate 8:00 AM - 4:00 PM 8:00 AM - 4:00 PM 8:00 AM - 4:00 PM 8:00 AM - 4:00 PM 8:00 AM - 4:00 PM By appointment only By appointment only https://static.royacdn.com/Site-2ae3b58d-18ba-4c3a-bdf5-4b88261f9805/InnerAssets/dummy_imag.jpg realtor https://www.google.com/search?q=pacific+rim+property+management&oq=pacific+rim+property+management&aqs=chrome..69i57j46i175i199l3j0j69i61l3.6806j0j7&sourceid=chrome&ie=UTF-8#lrd=0x54906fdf5e56edbb:0xed4c3c5b9b321f21,3,,, https://www.facebook.com/pacificrimsd/reviews/?ref=page_internal https://static.royacdn.com/Site-2ae3b58d-18ba-4c3a-bdf5-4b88261f9805/InnerAssets/dummy_imag.jpg https://goo.gl/maps/m1qzfsBxhgiMvnry7 01426762 958218