Property Detail

Inglewood

Oroville CA 95966

$350,000

Status: Active

Property Details

Description

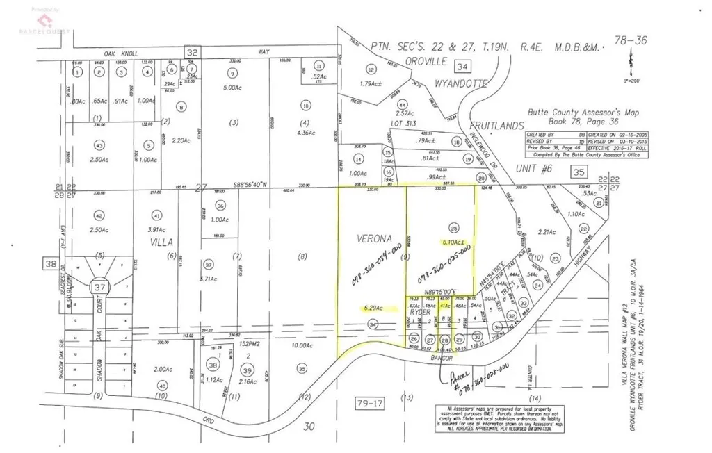
Incredible Development Opportunity - 33 Parcels in South Oroville! Presenting a rare chance to acquire 3 contiguous properties totaling 12.8 acres in a prime South Oroville location. Included in this sale are APN 078-360-034-000, APN 078-360-028-000, and APN 078-360-025-000, offering tremendous potential for a builder, investor, or visionary developer. This expansive property falls within the MDR (Medium Density Residential) zoning designation, which - per the Butte County Department of Development - permits single-family residences and attached ADUs. Preliminary conversations suggest the acreage may be able to support up to 90 residential parcels (6000 sq. ft. lots), making this one of the most attractive residential infill opportunities in the area. The level, usable terrain makes development efficient, with convenient access to city utilities nearby. Ideally located just off Foothill Blvd, the site offers an accessible setting close to local amenities, schools, and services. Residents will appreciate the array of recreational activities that make Oroville so desirable - fishing, boating, hiking, with Lake Oroville and natural landscapes minutes away. Whether you're looking for a large-scale subdivision site or wish to purchase individual parcels, this property is exceptional.

Map Location

Listing provided courtesy of Sean Work of EXP Realty of California, Inc. Last updated . Listing information © 2025 PACIFICSOTHEBYSFULLSANDICORCOMBINED.

john Doe

Pacific Rim Property Management & Maintenance Solutions

CA DRE# 01426440
CSLB# 958218
Inquire Now
admin Real estate 8:00 AM - 4:00 PM 8:00 AM - 4:00 PM 8:00 AM - 4:00 PM 8:00 AM - 4:00 PM 8:00 AM - 4:00 PM By appointment only By appointment only https://static.royacdn.com/Site-2ae3b58d-18ba-4c3a-bdf5-4b88261f9805/InnerAssets/dummy_imag.jpg realtor https://www.google.com/search?q=pacific+rim+property+management&oq=pacific+rim+property+management&aqs=chrome..69i57j46i175i199l3j0j69i61l3.6806j0j7&sourceid=chrome&ie=UTF-8#lrd=0x54906fdf5e56edbb:0xed4c3c5b9b321f21,3,,, https://www.facebook.com/pacificrimsd/reviews/?ref=page_internal https://static.royacdn.com/Site-2ae3b58d-18ba-4c3a-bdf5-4b88261f9805/InnerAssets/dummy_imag.jpg https://goo.gl/maps/m1qzfsBxhgiMvnry7 01426762 958218