Property Detail

43600 7th

Lancaster CA 93535

$400,000

Status: Active

Property Details

Description

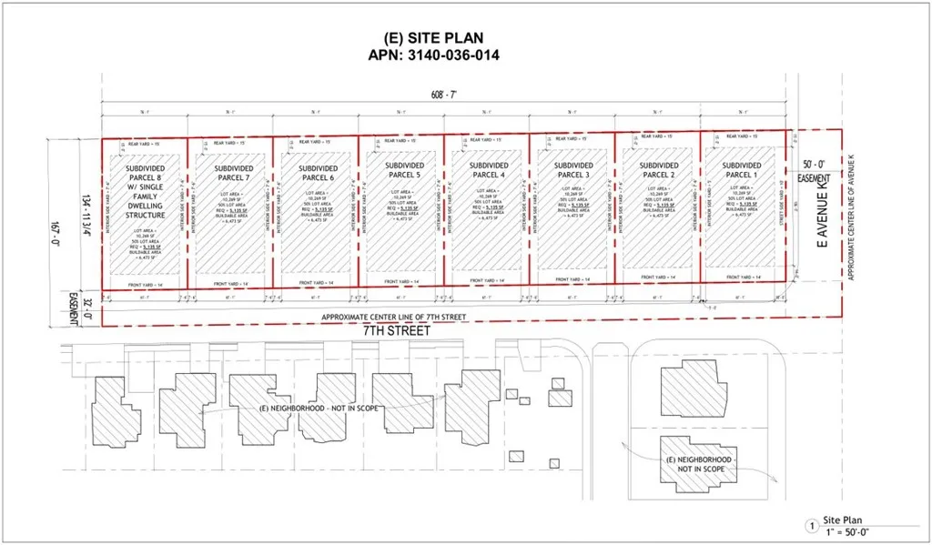
Introducing an exceptional chance to develop in one of Lancasters most promising growth areas. This 2.16-acre (94,090 SF) residential parcel, APN: 3140-036-014, zoned LRR1-7000, is perfectly positioned for investors or builders seeking a ready-to-go project with impressive upside. A Property Survey along with Preliminary Concept Architectural & Design Plans, including subdivision layouts, site studies, and detailed renderings for eight single-family homes on quarter-acre lots, have already been completed by Drury Architects and are available upon request. Much of the upfront planning is done, making this an ideal plug-and-play development opportunity. The seller has also added value by installing quality fencing around the entire parcel, giving buyers added security, clear boundaries, and reduced prep work ahead of development. Positioned on a flat, fully-fenced corner lot at Avenue K and 7th Street East, this property boasts approximately 608 feet of frontage on 7th Street East and 154 feet of frontage on Avenue K. With all major utilities already at the street (electricity, water, and sewer), developers benefit from lower infrastructure costs and simplified construction logistics. Located in the heart of Lancaster and surrounded by established neighborhoods, schools, businesses, and essential services, this parcel sits in a high-demand residential corridor with strong long-term growth. Whether you're preparing to build immediately or securing land in a rapidly expanding market, this property delivers both value and vision. Dont miss the chance to capitalize on a rare deve

Map Location

Listing provided courtesy of Scott Vu of Nexus Commercial. Last updated . Listing information © 2025 PACIFICSOTHEBYSFULLSANDICORCOMBINED.

john Doe

Pacific Rim Property Management & Maintenance Solutions

CA DRE# 01426440
CSLB# 958218
Inquire Now
admin Real estate 8:00 AM - 4:00 PM 8:00 AM - 4:00 PM 8:00 AM - 4:00 PM 8:00 AM - 4:00 PM 8:00 AM - 4:00 PM By appointment only By appointment only https://static.royacdn.com/Site-2ae3b58d-18ba-4c3a-bdf5-4b88261f9805/InnerAssets/dummy_imag.jpg realtor https://www.google.com/search?q=pacific+rim+property+management&oq=pacific+rim+property+management&aqs=chrome..69i57j46i175i199l3j0j69i61l3.6806j0j7&sourceid=chrome&ie=UTF-8#lrd=0x54906fdf5e56edbb:0xed4c3c5b9b321f21,3,,, https://www.facebook.com/pacificrimsd/reviews/?ref=page_internal https://static.royacdn.com/Site-2ae3b58d-18ba-4c3a-bdf5-4b88261f9805/InnerAssets/dummy_imag.jpg https://goo.gl/maps/m1qzfsBxhgiMvnry7 01426762 958218